Land at, Willows Road, Salford, Salford, M5 5FQ
- Land size
- 0.34 acres
Key Features
- Residential development potential subject to planning
- Within a residential area with easy access to local amenities and Manchester city centre.
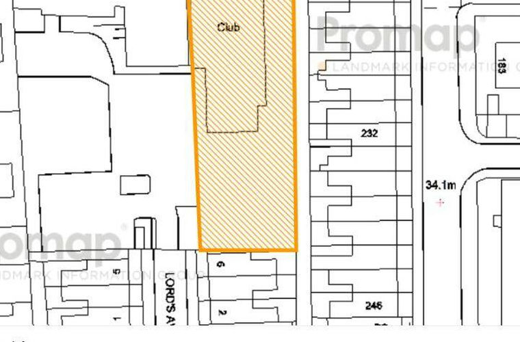
- The plot is approximately 0.34 acres
- Semi derelict two storey building positioned on the site.
Description
TO BE OFFERED BY ONLINE AUCTION ON 29/04/2026 10:40
As an auction property the details are subject to change. Please check our website for any updates or addendum entries.
Description
The site extends to 0.34 acres and has a semi derelict building located on the plot. Access is from Willows Road. It is considered to have development potential subject to obtaining any necessary consents and interested parties should rely on their own enquiries.
Location
Location
Situated on the south side of Willows Road and next to the Willows Health Centre, the site is adjacent to modern estate housing, close to Salford Royal and approximately 3 miles west of Manchester City Centre. Salford Crescent railway station is approximately 2 miles from the site and accessed via Liverpool Street, or Eccles New Road, both of which are bus routes leading to Manchester city centre with a number of local amenities along the way. In addition to being convenient for public transport, the site is located close to the M602 that leads to the M60 and wider motorway network.
Tenure
Freehold
Buyer's Administration Fee
There will be a Buyer's Administration Fee of £3,000 (inc VAT) payable upon exchange of contracts.
Additional Information
1. The information contained within the Particulars are given in good faith, but all descriptions, statements, dimensions ( these may have come from a third party source e.g. the seller, valuation reports or historic sales particulars), references to condition and permissions for the use and occupation or other details are made without responsibility and should not be relied upon as representation of fact.
2. If a video walk through, or any other form of virtual tour, is provided whilst every effort is made to accurately give an overview of the property we cannot give any warranty concerning the nature, and condition of the property and the suitability thereof for any and all activities and use. The video, or tour, is provided to assist only and without responsibility and should not be relied upon as representation of fact, or replace all appropriate due diligence a prudent purchaser would make.
Property details
- Tenure
- Freehold
- Council Tax Band
- Ask Agent
- Date Posted
- 2026-03-21
Utilities & Restrictions
Utilities
- Electricity
- Ask Agent
- Water
- Ask Agent
- Heating
- Ask Agent
- Broadband
- Ask Agent
- Sewerage
- Ask Agent
Rights & Restrictions
- Public Rights of Way
- Ask Agent
- Private Rights of Way
- Ask Agent
- Listed Property
- Ask Agent
- Restrictions
- Ask Agent
Property Features
- Accessibility
- Ask Agent
- Parking
- Ask Agent
- Garden
- Ask Agent
Map Location
Important notice: Information, maps and tags on this page are supplied by the advertising agent or generated automatically. LandSale has not verified them. Relying on these details is at your own risk, always carry out independent checks before committing to a purchase.
LandSale full disclaimer
Marketing information only - not formal particulars. The details on this website are provided for general guidance and do not constitute an offer or contract. Neither LandSale nor the advertising estate/land agent accepts responsibility for any inaccuracy.
1. Source of information
- Agent-supplied content: Core description, asking price, tenure, measurements, photographs and planning history are uploaded by the appointed agent, who remains solely responsible for their accuracy.
- Automated tags & categorisation: Property type, land-use class, acreage bands and similar labels may be applied by machine-learning models. They are intended as a helpful guide only and may not reflect the property's legal status or permitted use.
- Third-party & enriched data layers: Maps, boundary outlines, planning designations, soil reports, broadband coverage and other environmental or location-based insights are licensed from external suppliers. Such data are supplied “as is", may be incomplete or out of date and are subject to change without notice.
2. Verification required
Prospective purchasers must verify critical matters, including but not limited to planning permission, title boundaries, public rights of way, environmental constraints, acreage, services, access and VAT status, through their own inspections, specialist surveys, legal advisers and the selling agent before relying on the information or entering into any contract.
3. No warranty or liability
LandSale gives no warranty, express or implied, as to the accuracy, completeness or fitness for any particular purpose of the information displayed. LandSale shall not be liable for any loss, damage, cost or expense arising directly or indirectly from any use of or reliance on such information, save where liability may not be excluded by law.
4. Updates & feedback
If you believe any detail on this listing is inaccurate, please let us know. We will investigate and, where appropriate, update the listing or notify the agent.
© LandSale | Version 1.2 - January 2026
Listing agent
Landwood Group, Manchester
Lancaster Buildings, 77 Deansgate, Manchester, M3 2BW
Contact Landwood Group, Manchester
Lancaster Buildings, 77 Deansgate, Manchester, M3 2BW
View agent profile