High Street, Dodworth, Barnsley, S75 3RQ
Description
If you’re looking for a development opportunity, this is one not to be missed
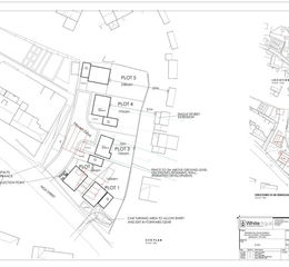
Outline planning permission has been granted for the construction of five detached homes (Barnsley planning ref: 2024/0780), offering a fantastic opportunity for developers or investors to create a high-quality scheme in a sought-after location.
The site is currently occupied by a substantial detached property, which is arranged as two dwellings, along with a range of outbuildings. The approved scheme includes demolition of the existing buildings, however there may be scope for alternative proposals or retaining the current dwelling with a generous plot, all subject to the necessary planning consents.
Positioned close to shops, schools, link roads and beautiful countryside, this is a location where demand for quality detached homes remains consistently strong.
Opportunities like this are rare. To discuss further or arrange a viewing, please contact NestledIn.
PROPERTY VIDEO (PLEASE COPY AND PASTE)
THE ACCOMMODATION (91 and 91a)
91
GROUND FLOOR
- ENTRANCE
- LOUNGE
- SITTING AREA
- DINING AREA
- KITCHEN
FIRST FLOOR
- BEDROOM
- BEDROOM
- BEDROOM
- BATHROOM
91a
- ENTRANCE
- KITCHEN AND LOUNGE
- FIRST FLOOR
- BEDROOM
- BATHROOM
OUTSIDE
Large plot with various outbuildings.
USEFUL INFO
We understand the council tax band to be C. We have not verified this with the owner and would recommend any incoming purchaser to make their own enquiries. We understand the tenure to be freehold. Please confirm this with your legal representative.
DIRECTIONS
S75 3RQ
DISCLAIMER
1. MONEY LAUNDERING: We may ask for further details regarding your identification and proof of funds after your offer on a property. Please provide these in order to reduce any delay.
2. Details: We endeavor to make the details and measurements as accurate as possible. However, please only take them as indicative only. Measurements are taken with an electronic device. If you are ordering carpets or furniture, we would advise taking your own measurements upon viewing.
3. Services: No services have been tested by NestledIn.
Property details
- Tenure
- Freehold
- Council Tax Band
- TBC
- Date Posted
- 2026-03-24
Utilities & Restrictions
Utilities
- Electricity
- Ask Agent
- Water
- Ask Agent
- Heating
- Ask Agent
- Broadband
- Ask Agent
- Sewerage
- Ask Agent
Rights & Restrictions
- Public Rights of Way
- Ask Agent
- Private Rights of Way
- Ask Agent
- Listed Property
- Ask Agent
- Restrictions
- Ask Agent
Property Features
- Accessibility
- Ask Agent
- Parking
- Ask Agent
- Garden
- Ask Agent
Map Location
Important notice: Information, maps and tags on this page are supplied by the advertising agent or generated automatically. LandSale has not verified them. Relying on these details is at your own risk, always carry out independent checks before committing to a purchase.
LandSale full disclaimer
Marketing information only - not formal particulars. The details on this website are provided for general guidance and do not constitute an offer or contract. Neither LandSale nor the advertising estate/land agent accepts responsibility for any inaccuracy.
1. Source of information
- Agent-supplied content: Core description, asking price, tenure, measurements, photographs and planning history are uploaded by the appointed agent, who remains solely responsible for their accuracy.
- Automated tags & categorisation: Property type, land-use class, acreage bands and similar labels may be applied by machine-learning models. They are intended as a helpful guide only and may not reflect the property's legal status or permitted use.
- Third-party & enriched data layers: Maps, boundary outlines, planning designations, soil reports, broadband coverage and other environmental or location-based insights are licensed from external suppliers. Such data are supplied “as is", may be incomplete or out of date and are subject to change without notice.
2. Verification required
Prospective purchasers must verify critical matters, including but not limited to planning permission, title boundaries, public rights of way, environmental constraints, acreage, services, access and VAT status, through their own inspections, specialist surveys, legal advisers and the selling agent before relying on the information or entering into any contract.
3. No warranty or liability
LandSale gives no warranty, express or implied, as to the accuracy, completeness or fitness for any particular purpose of the information displayed. LandSale shall not be liable for any loss, damage, cost or expense arising directly or indirectly from any use of or reliance on such information, save where liability may not be excluded by law.
4. Updates & feedback
If you believe any detail on this listing is inaccurate, please let us know. We will investigate and, where appropriate, update the listing or notify the agent.
© LandSale | Version 1.2 - January 2026
Listing agent
NestledIn, Barnsley
The Business Village, BarnsleyBIC, Innovation Way, Barnsley, S75 1JL.
Contact NestledIn, Barnsley
The Business Village, BarnsleyBIC, Innovation Way, Barnsley, S75 1JL.
View agent profile